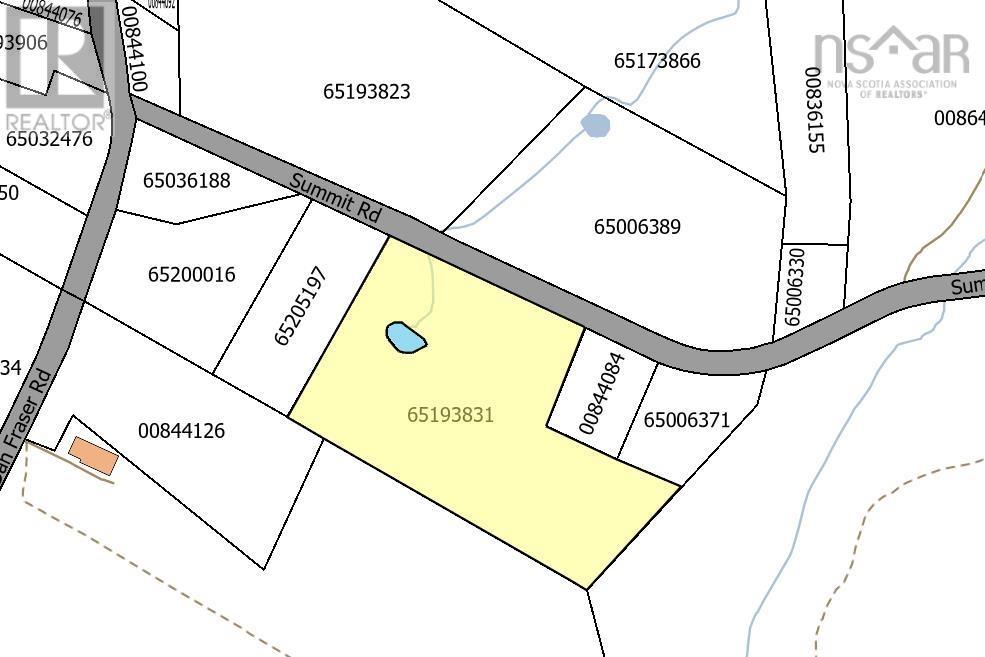
10 Acres with Pond Summit Road, Just off Alma Road Looking for the perfect blend of privacy, space, and opportunity? This 10-acre parcel on Summit Road checks all the boxes. Partially Cleared & Wooded A mix of open land and mature trees gives you both flexibility and natural privacy. Pond on Property A charming water feature adds beauty and function, ideal for recreation or hobby farming. Prime Location Northumberland Regional High School is just down the road, with amenities only minutes away. Versatile Potential Whether youre dreaming of a small hobby farm, a private homestead, or potential to subdivide for future development, this acreage is full of possibilities. This is your chance to own a sizeable piece of land in a convenient yet peaceful setting. With road frontage and utilities nearby, you can start building your vision right away. Dont miss out on this rare opportunity to own acreage with so much potential! (id:39336)
| MLS® Number | 202522158 |
| Property Type | Vacant Land |
| Community Name | Sylvester |
| Features | Level Lot, Treed, Partially Cleared, Softwood Bush |
| Utility Water | None |
| None |
| Acreage | Yes |
| Sewer | No Sewage System |
| Size Irregular | 10 |
| Size Total | 10 Ac |
| Size Total Text | 10 Ac |
| Surface Water | Pond Or Stream |
https://www.realtor.ca/real-estate/28801446/10-acres-summit-road-sylvester-sylvester
Contact us for more information