LOADING

Cabot Trail Ingonish, Nova Scotia B0C 1K0

$49,900

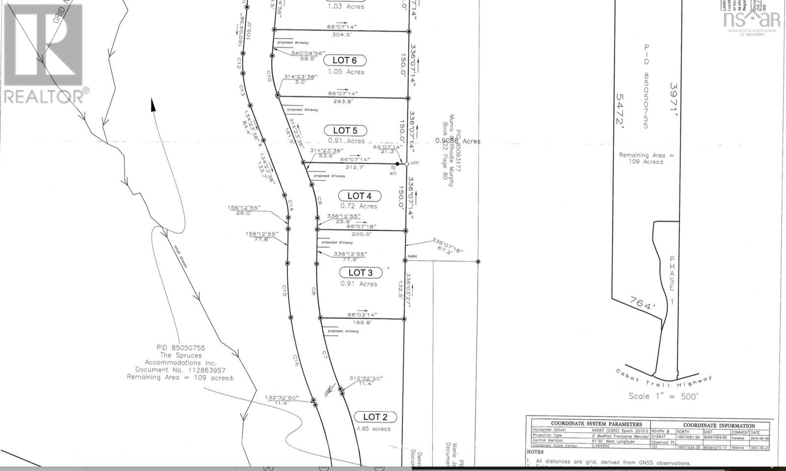
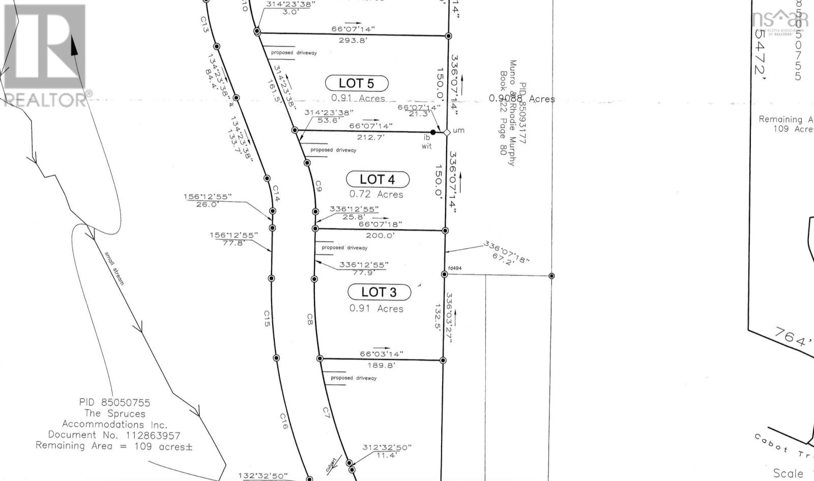
Your chance to own a piece of Ingonish! This building lot is only a short distance to beaches, ski hill, convenience, coffee shop & the Cape Breton Highlands National Park. Your location for year-round recreation and a home-base in Ingonish. Tucked off of the Cabot Trail, this private road has power running past the lot and the land is seemingly level for development. 31,363 SQFT in size the property will lend itself well to a year-round home or cottage. The quiet street is perfect for an active family and with shopping, food and entertainment within walking distance this area is sure to be the future of a vibrant community in the heart of Ingonish. It is time to purchase a piece of paradise to spend your days in Ingonish or to invest in the future value. See Lot 4 on Subdivision Plan. (id:39336)

Property Details

MLS® Number 202607272
Property Type Vacant Land
Community Name Ingonish
Features Level Lot, Treed

Building

Utility Water None

Parking

None

Land

Acreage No
Sewer No Sewage System
Size Irregular 0.72
Size Total 0.72 Ac
Size Total Text 0.72 Ac

https://www.realtor.ca/real-estate/29600110/cabot-trail-ingonish-ingonish

Interested?

Contact us for more information


Generating Captcha