LOADING

Cabot Trail Wreck Cove, Nova Scotia B0C 1H0

Waterfront Acreage

$99,000

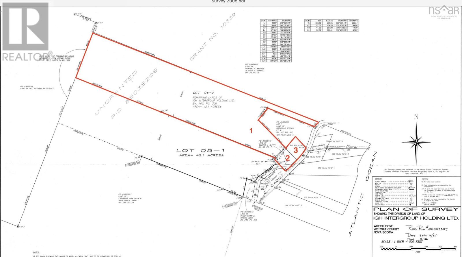
This expansive 44 ACRES offers an exceptional opportunity to own land with outstanding ocean views along the iconic Cabot Trail, just minutes from the community of Ingonish. Located in an area seeing continued growth and increasing demand, this property presents strong long-term investment potential while offering privacy, space, and a natural setting. The property consists of three main parcels of land. The front, lower portion is level and provides multiple excellent building sites with impressive ocean views. The larger acreage extends upward, where even more elevated and expansive views can be achieved with selective clearing through the hardwood forest. These upper viewpoints offer some of the most striking vistas the area has to offer and building sites on this portion of the property would be achievable & desirable. There is evidence of a water supply on the property, to be verified by the purchaser, with a stream passing through. Deeded access to the ocean is located across the road, allowing for the creation of a path to enjoy the shoreline and the sound of the waves. A rare combination of acreage, views, privacy, and location, this property is well suited for a private retreat, future home, or long-term investment along the Cabot Trail. To walk this property is to fully understand it's potential. (id:39336)

Property Details

MLS® Number 202600532
Property Type Vacant Land
Community Name Wreck Cove
Features Treed, Sloping
Water Front Type Waterfront

Building

Parking

None

Land

Acreage Yes
Sewer No Sewage System
Size Irregular 44.0525
Size Total 44.0525 Ac
Size Total Text 44.0525 Ac

https://www.realtor.ca/real-estate/29237268/cabot-trail-wreck-cove-wreck-cove

Interested?

Contact us for more information


Generating Captcha