LOADING

Lot 08-15 Crooked Lake Road Framboise, Nova Scotia B2J 1C4

Waterfront On Ocean Acreage

$99,500

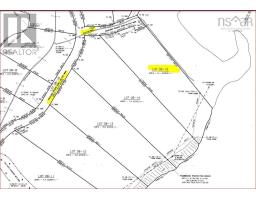
Oceanfront Property! This stunning 6.1 Acre property offers direct access to the pristine sands of Morrison (Framboise) Beach/Trail. Enjoy morning walks along the shoreline, breathe in the fresh ocean breeze, enjoy the rhythmic sound of the surf. The property is land registered, and according to Nova Scotia Environment, it is suitable for the installation of an on-site sewage system (permit required). Capture from subdivision plan on the listing pictures. The owner will hold deeded rights to the Private Road Right-of-Way (Lot 08-16) as indicated on the survey. This right-of-way plan is approved for grade and alignment only, and is not maintained by provincial or municipal services. Until that time, the deeded access for right-of-way is for the existing road (shown in listing pictures). Find complete listing (drone footage) at Realtor.ca MLS® Number: 202421768 (id:39336)

Property Details

MLS® Number 202421768
Property Type Vacant Land
Community Name Framboise
Features Treed, Hardwood Bush, Softwood Bush
View Type Ocean View
Water Front Type Waterfront On Ocean

Building

Utility Water None

Parking

None

Land

Acreage Yes
Sewer No Sewage System
Size Irregular 6.1
Size Total 6.1 Ac
Size Total Text 6.1 Ac

https://www.realtor.ca/real-estate/27390015/lot-08-15-crooked-lake-road-framboise-framboise

Interested?

Contact us for more information


Generating Captcha