LOADING

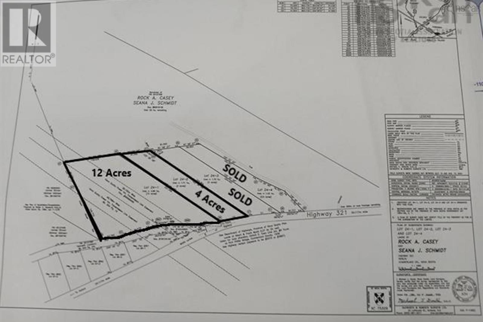
Lot 24-1 Highway 321 Roslin, Nova Scotia B0M 1P0

Acreage Not Landscaped

$20,000

Twelve acres in the county and priced at $20,000 +HST due to the property having a right of way for Nova Scotia Power to access the overhead lines. However, the lot has ample space and was created this large to compensate for the power lines excluding the placement of buildings on the ROW. You are still left with plenty of space for a camp, RV or a dwelling. Minutes from the Town of Oxford for amenities, the P-12 school, walking trails and new Rec Center that is nearing completion. This Roslin property offers county taxes, natural gas hook up, close proximity for season recreation, ie; area beaches, 5 golf courses, a curling club, Ski Wentworth, the Rail Trail and more! Priced to go with motivated sellers, so check it out and contact your Realtor to make your purchase! (id:39336)

Property Details

MLS® Number 202527642
Property Type Vacant Land
Community Name Roslin
Features Sloping, Hardwood Bush, Softwood Bush

Building

Utility Water None

Parking

None

Land

Acreage Yes
Landscape Features Not Landscaped
Sewer No Sewage System
Size Irregular 12.0093
Size Total 12.0093 Ac
Size Total Text 12.0093 Ac

https://www.realtor.ca/real-estate/29088013/lot-24-1-highway-321-roslin-roslin

Interested?

Contact us for more information


Generating Captcha