LOADING

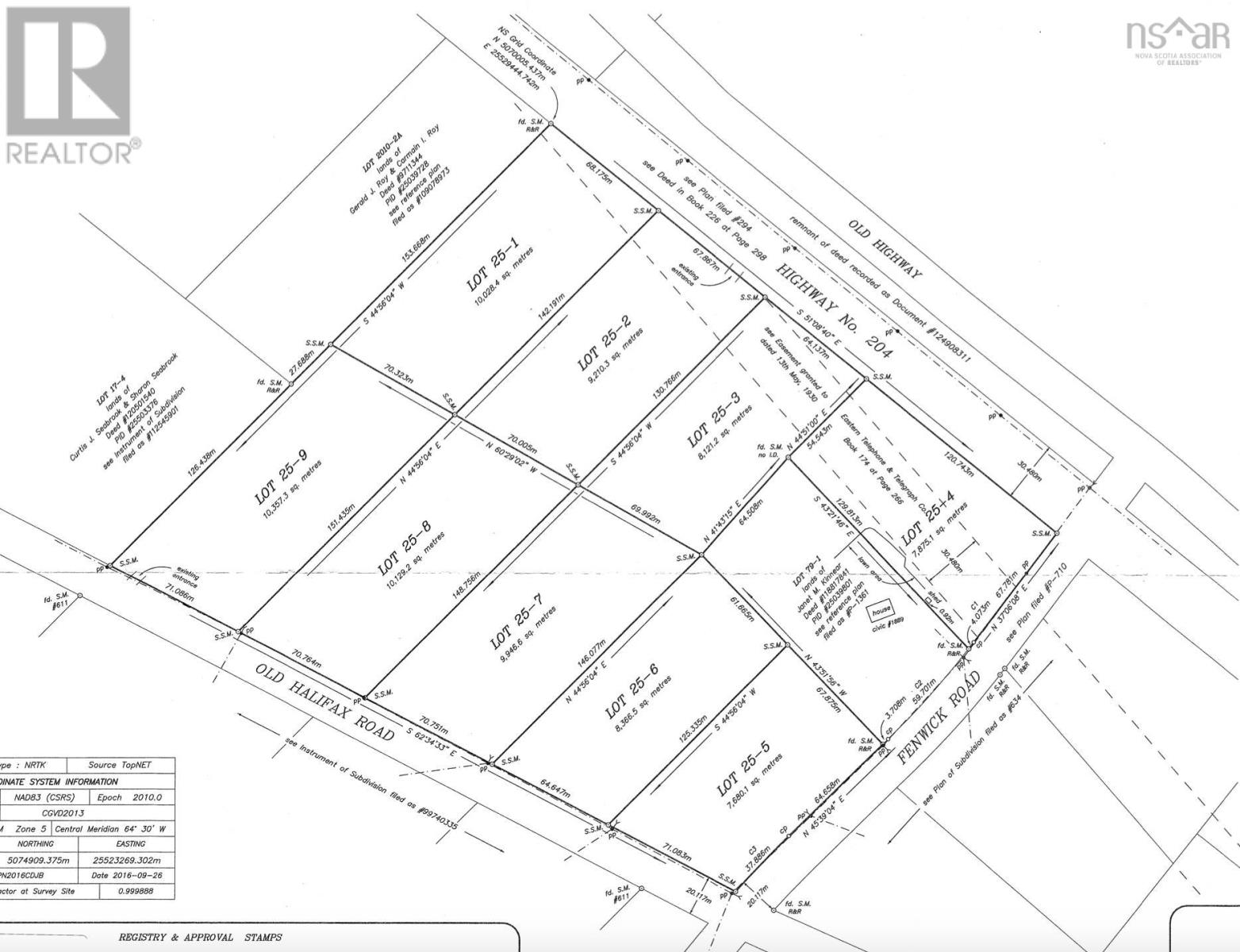
Lot 25-7 Old Halifax Road Salem, Nova Scotia B4H 3Y1

Acreage

$69,900

You will find country living at its finest on these oversized lots, with a great view of the surrounding countryside, just minutes from town. All lots are surveyed and approved. (id:39336)

Property Details

MLS® Number 202604023
Property Type Vacant Land
Community Name Salem
Features Partially Cleared

Building

Utility Water None

Parking

None

Land

Acreage Yes
Land Disposition Cleared
Sewer No Sewage System
Size Irregular 2.4579
Size Total 2.4579 Ac
Size Total Text 2.4579 Ac

https://www.realtor.ca/real-estate/29438581/lot-25-7-old-halifax-road-salem-salem

Interested?

Contact us for more information


Generating Captcha