LOADING

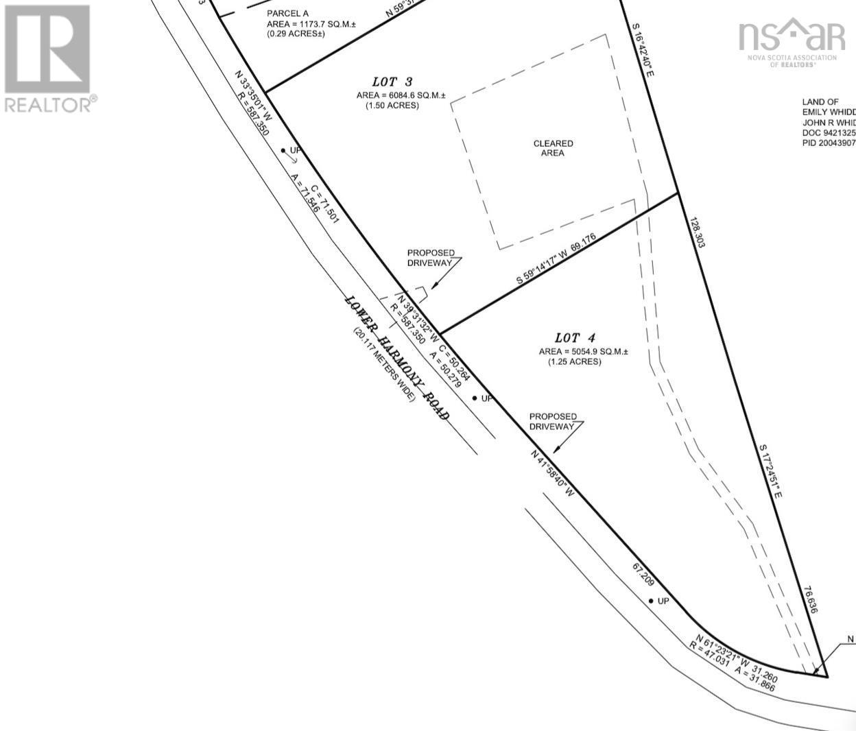
Lot #4 Lower Harmony Road Harmony, Nova Scotia B6L 3V5

Acreage Not Landscaped

$45,000

Welcome to Lower harmony Road, where this 1.25 +/- acre treed building lot offers an excellent opportunity to build your family home in a peaceful rural setting. Located just off a paved road with electricity available at the roadside, this property combines convenience with privacy. The lot is currently in the process of subdivision and is being offered subject to HST over and above the purchase price. Surrounded by natural greenery, it provides a private setting while still being within easy reach of the amenities of Truro. School bus service available at the road, making it a practical option for families seeking both space and accessibility. (id:39336)

Property Details

MLS® Number 202608673
Property Type Vacant Land
Community Name Harmony
Features Treed

Building

Utility Water None

Parking

None

Land

Acreage Yes
Landscape Features Not Landscaped
Sewer No Sewage System
Size Irregular 1.2491
Size Total 1.2491 Ac
Size Total Text 1.2491 Ac

https://www.realtor.ca/real-estate/29659596/lot-4-lower-harmony-road-harmony-harmony

Interested?

Contact us for more information


Generating Captcha