LOADING

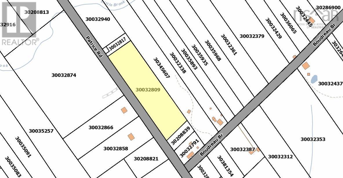
Lot Patrice Road Church Point, Nova Scotia B0W 1M0

Acreage

$59,900

Are you looking to develop a lot on a nice paved road in Clare This 3.94 acre lot has approximately 800 feet road frontage. The lot is treed and has relatively flat ground all along for development. Also given the size you can build in the middle and have good privacy on each side. This lot is close to all amenities and services not to mention the friendly Acadian atmosphere. Just minutes from Highway #1 (Evangeline Trail) and its beautiful scenery. (id:39336)

Property Details

MLS® Number 202528515
Property Type Vacant Land
Community Name Church Point
Features Level Lot, Treed

Building

Utility Water None

Parking

None

Land

Acreage Yes
Sewer No Sewage System
Size Irregular 3.94
Size Total 3.94 Ac
Size Total Text 3.94 Ac

https://www.realtor.ca/real-estate/29134967/lot-patrice-road-church-point-church-point

Interested?

Contact us for more information


Generating Captcha