LOADING

Lot Small Gains Road Arcadia, Nova Scotia B5A 5J1

Acreage

$39,900

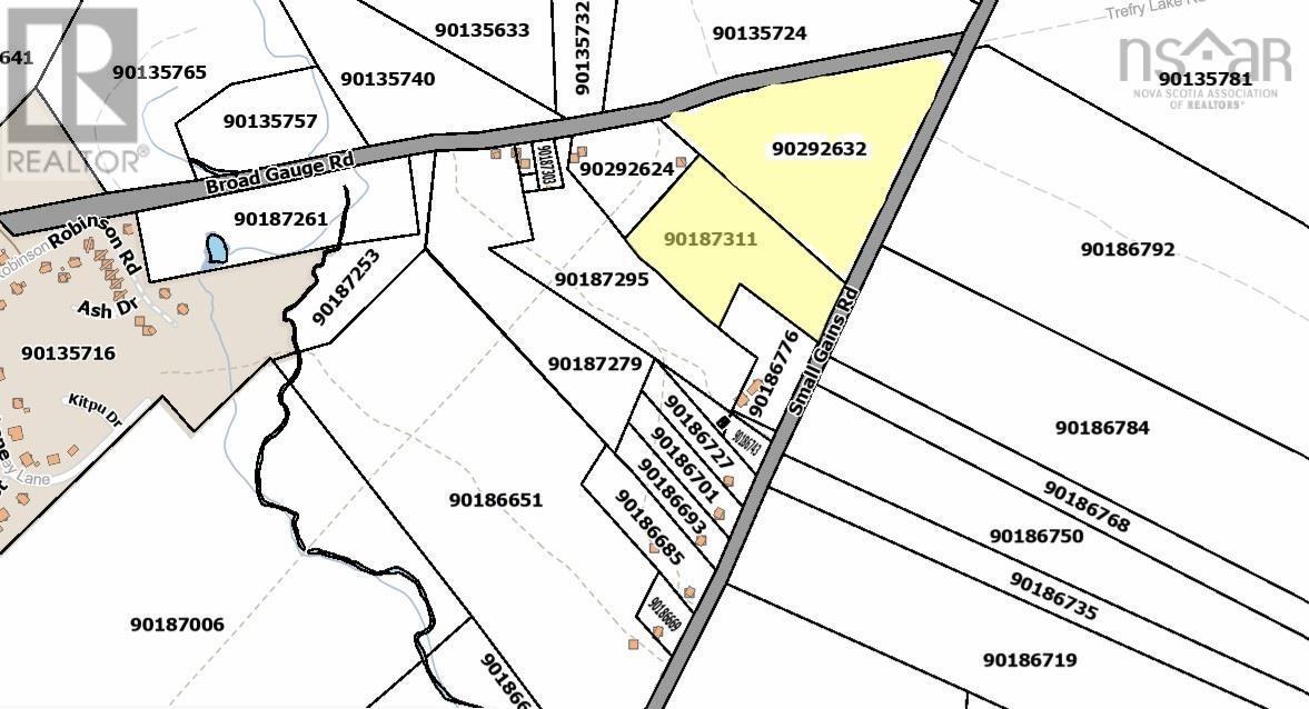
Are you looking for 16 acres of resource land just minutes outside of Yarmouth with roads on 2 sides? This property may be for you . It is broken down in 2 parcels one consisting of 7.5 acres and the second one consisting of approximately 9 acres. Possibly you could develop each one or just have some resource land in the country to go and stretch out on . Have a look to see if this is something that works for you. (id:39336)

Property Details

MLS® Number 202603935
Property Type Vacant Land
Community Name Arcadia
Features Treed, Hardwood Bush

Building

Utility Water None

Parking

Gravel

Land

Acreage Yes
Sewer No Sewage System
Size Irregular 16.5
Size Total 16.5 Ac
Size Total Text 16.5 Ac

https://www.realtor.ca/real-estate/29434015/lot-small-gains-road-arcadia-arcadia

Interested?

Contact us for more information


Generating Captcha