LOADING

Lot Virginia Road West Springhill, Nova Scotia B0S 1A0

Waterfront Acreage

$100,000

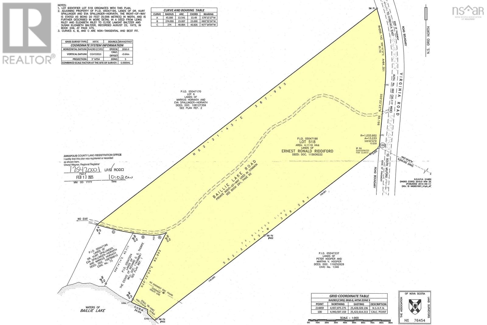
This surveyed 11-acre parcel presents a rare and unique opportunity with frontage on Virginia Rd, Baillie Lake Rd, and Baillie Lake, offering excellent access and the potential for subdivision (subject to buyer verification, if desired). The property is beautifully wooded with mature trees, ensuring both privacy and a serene, natural setting, while providing year-round road access for ease of entry and enjoyment. Ideally located just 15 minutes from the charming town of Annapolis Royal, this parcel is perfect for those seeking peace and quiet, yet still within easy reach of essential amenities. Baillie Lake is a popular and tranquil spot for fishing, swimming, and outdoor activities, making this an ideal location for nature lovers, outdoor enthusiasts, or anyone looking to build a private retreat. Whether youre interested in recreational use or development, this property offers a wealth of potential in an idyllic setting, at a great price. (id:39336)

Property Details

MLS® Number 202504480
Property Type Vacant Land
Community Name West Springhill
Features Treed
View Type Lake View
Water Front Type Waterfront

Building

Utility Water None

Parking

Gravel

Land

Acreage Yes
Sewer No Sewage System
Size Irregular 11
Size Total 11 Ac
Size Total Text 11 Ac

https://www.realtor.ca/real-estate/27999378/lot-virginia-road-west-springhill-west-springhill

Interested?

Contact us for more information


Generating Captcha